Banner | Springbank Hill/Discovery Ridge School

Archive

Archive Griffith Woods School

Griffith Woods School

7652 - 26 Avenue SW, Calgary AB T3H 3X2 (tentative)

Community | Springbank Hill/Discovery Ridge
Capacity | 900 Students
Anticipated Opening Date | April 3, 2018

Note: Griffith Woods School will open as a "school within schools" at existing schools in Sept. 2017
Grades | K-9  

 

School Website

Griffith Woods School Opening

I am excited to confirm that our beautiful new school will open on April 3, 2018.

Thursday, Mar. 22 will be a Griffith Woods School organizational day, and Friday, Mar. 23 will be a system professional development day. Students will not have school at Griffith Woods on these two days prior to spring break. This will support the organization of supplies and materials and allow teachers to prepare classrooms for our first day in the new school.

School Hours Grade 1-8

8 a.m. – 2:30 p.m. | Monday to Thursday
8 a.m. – 12 p.m. | Friday
10:50 a.m. -11:40 a.m. | Lunch

Kindergarten Hours

8 a.m. - 10:53 a.m. | Morning (Monday- Thursday)
11:37 a.m. - 2:30 p.m. | Afternoon (Monday- Thursday)
8 a.m. – 12 p.m. | Kindergarten alternating am/pm classes on Friday

Transportation

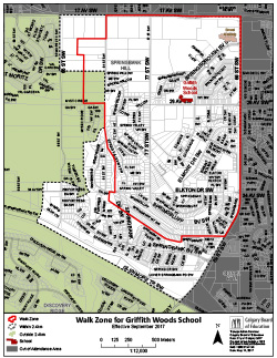
Only students who live outside of the school’s walk zone will be eligible for transportation to the new school.

The walk zone map is available here.

New route maps for students who will continue to take the bus will be available before Mar. 21 on the Find My Bus Route webpage.

Please fill out the Request to Cancel School Bus Transportation form as soon as possible ONLY if your child is eligible for transportation to the new school, but will NOT take the bus. Transportation contracts for students living in the walk zone will automatically be cancelled.

If you have any questions regarding transportation please contact CBE Transportation at 403-817-7433 or transportation@cbe.ab.ca.

Noon Supervision

If you live within the walk zone and your child will stay for lunch at the new school, please visit your My CBE Account after Mar. 21 to confirm that your child’s noon supervision attendance is correctly reflected.

If your child will not stay for lunch at the new school please provide a Request to Cancel Noon Supervision Registration to Student Fees.

Griffith Woods School is absolutely beautiful and I know it will be a wonderful place for all of our students to learn and grow. If you have any questions about the move to our new school please contact me at 403-817-3572 or griffithwoods@cbe.ab.ca.

Sincerely,

Rhonda Choate, Principal
Griffith Woods School

Construction Status

The construction status is updated using the Construction Projects Status Report that is presented monthly to the Board of Trustees.

 

Mar. 2018 
 
Design and Specifications 100%
City Permits 100%
Construction Award 100%
Foundations 100%
Steel Fabrication and Erection 100%
Roofing and Membranes 100%
Building Envelope 99%
Interior Finishes 96%
Note: A revised opening date has been announced for April 3, 2018.
 



Feb. 2018

Design and Specifications 100%
City Permits 100%
Construction Award 100%
Foundations 100%
Steel Fabrication and Erection 100%
Roofing and Membranes 100%
Building Envelope 99%
Interior Finishes 90%
Note: A revised opening date has been announced for April 3, 2018.
 
  

Project Background

June 2016

  • Tenders were received in April 2016, approved by the Board of Trustees. Awaiting Alberta Infrastructure’s approval of award of recommended bidder.

May 2016

  • Tenders were received in April 2016, and are being assessed by Administration prior to approval by the Board of Trustees and Alberta Infrastructure.

April 2016

  • The documents are out for tender.

March 2016

  • Alberta Infrastructure has approved the tender and the documents will be released in March 2016.

February 2016

  • Awaiting Alberta Infrastructure approval to tender.

December 2015

  • Working drawings are being prepared for Alberta Infrastructure review in January 2016 for a tender release in February 2016.
  • December 2015 - Held open house at Education Centre for stakeholders to view design plans.
  • Schematic designs have been developed.
  • Steering Committee meetings have commenced
  • Request for proposals were issued for design services and proposals were reviewed in December 2014.
  • Design Services Contract wwas awarded to CEI Architecture Planning Interiors.

School Registration

Kindergarten registration starts on Jan. 9, 2017. Kindergarten registrations for Griffith Woods School will be accepted at Jennie Elliott School for residents of Discovery Ridge or at Battalion Park School for residents of Springbank Hill. Please visit our Registering at a New School page for more information on how to register your child. We do not offer pre-registration or waitlists. Current students who live within the new school's designation area and are currently attending Jennie Elliott School, Battalion Park School, Glenbrook School or A.E. Cross School will automatically be transferred to the new school. Student transfers from other CBE schools or other school districts will be accepted after the principal is in place, which will be at the beginning of April. Please check back after April 1, 2017 for more information on where to take student transfer forms. We expect that the new school will have enough space for all of the students in its designation area.   Use our kindergarten calculator below to find out when your child can start kindergarten.

Kindergarten Calculator

School Community

The school is anticipated to provide educational programming for students living in the communities of Springbank Hill and Discover Ridge. The school will provide instruction in the Regular Program.

School Facility

The school in Springbank Hill will be built at 26 Avenue SW & Springborough Blvd SW, on the approved CBE school site zoned for educational purposes.

Construction and Design

  • Design - CEI Architecture Planning Interiors
  • Construction - Maple Reinders Inc. 

Project Background

  • March 31, 2015 - the Province committed to fully funding the construction of Springbank Hill/Discovery Ridge school.
  • October 8, 2014 - the Province committed to the immediate planning and design of Springbank Hill/Discovery Ridge school.
  • 2009 – Springbank Hill/Discovery Ridge Middle School was identified as a priority in the CBE Three-Year Capital Plan

 Working with the Community

  • You can provide feedback by clicking on the Your Voice Feedback Form
  • We are committed to providing regular updates on this webpage

Meet Your Principal | Rhonda Choate

Construction Photos

​Construction photos are updated using the Construction Project Status Report that is presented monthly to the Board of Trustees.

Announcements

​Jan. 24, 2018 ​Update
​Nov. 24, 2017 ​Update
​Oct. 23, 2017 ​Update
​Sept. 28, 2017 ​The Battalion Park & Griffith Woods Terry Fox Run​
​Sept. 14, 2017 ​Update | Delay in School Opening
​Jun. 2, 2017 New School Opening for Springbank Hill and Discovery Ridge
​Apr. 12, 2017

​Update Letter to Parents

​Apr. 12, 2017

​Host School Letter - Delayed School Opening:

A.E. Cross

Battalion Park

Bishop Pinkham

Jennie Elliott

​Mar. 20, 2017 Letter from New Assistant Principal
​Feb. 28, 2017 ​Principal Announcement
​June 20, 2016 New School Named for Nature Preserve
 

 

Maps

​Attendance Area

Attendance Area Map

Walk Zone

Click the map below to view the walk zone for your school. To find out on how walk zones are determined and answers to frequently asked questions visit our school walk zone page.



 

Supporting Documents

​June 23, 2016 Open House Feedback Received
​Apr. 2016 Site Plan
​Mar. 2016 Elevation Plan
​Jan. 2016 Community Engagement Plan
Oct. 20, 2014 Site Map
 

 

Provide Input

If you have any feedback that you would like to share with us, please fill out our online form.

 

 

Dialogue Feedback Form​​
 
Last modified: 3/26/2018 8:43 AM
Website feedback: Webmaster
^